VIMS

Black Sea Bass

  • Black sea bass
    Black sea bass   Black sea bass are protogynous hermaphrodites, being born as females but reversing to males as they get larger. Adults, which prefer to inhabit areas with structure such as wrecks or pilings, are infrequently encountered by the survey. Juveniles are collected more regularly, although seldom in large numbers. Black sea bass are diurnal feeders, with juveniles feeding on small crustaceans and adults preferring bivalves, fish, and crabs.  
  • Black sea bass
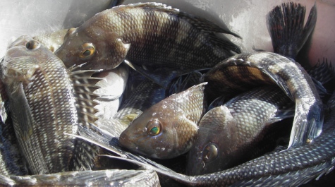
    Black sea bass   Twenty-seven black sea bass were captured at this station in November 2011. These fish ranged in size from 142-241 mm (5.6-9.5 in.).  
Photo - of -

bsb index graph

  • This species first recruits to the survey gear in August.
  • The Young-of Year cutoff values are:
    • August: 0-70 mm.
    • September: 0-85 mm.
    • October: 0-100 mm.
    • November: 0-105 mm.
    • December: 0-110 mm.
    • January: 0-110 mm.
    • February: 0-110 mm.
    • March: 0-110 mm.
    • April: 0-110 mm.
    • May: 0-110 mm.
    • June: 0-150 mm.
    • July: 0-175 mm.
  • YOY Index months are in bold.
  • The index is for Young-of-Year fish, but using survey months in the year following the year of spawning.
  • Stations in all the Chesapeake Bay strata and the lower James River strata are used for the index.

Data collected after the transition to a new vessel and net (June 2015) have been adjusted by a species-specific calibration factor. Note we were unable to calculate an index for 2020 because of a pause in sampling due to COVID-19.

Black Sea Bass Excel file

For more information on how this species is managed please visit the ASMFC website.